Hoofdplaatseweg 4 in Biervliet -
€450.000,- k.k.
Bezichtig deze woning virtueel
Omschrijving
Vrijstaand wonen met weids uitzicht en volop rust nabij Biervliet!
Net buiten Biervliet staat deze stijlvolle, vrijstaande woning met aanbouw. Hier komen ruimte, comfort en landelijk wonen perfect samen! De woning beschikt over 3 slaapkamers, een royale garage/schuur en een heerlijke, ruime tuin met zwembad. Binnen ervaar je een fijne huiselijke sfeer met veel licht, praktische indeling en mogelijkheid voor werken aan huis. De ligging is werkelijk uniek: vrij en groen, met een adembenemend uitzicht over de uitgestrekte Zeeuws-Vlaamse polders. Hier geniet je dagelijks van rust, ruimte en privacy, terwijl voorzieningen en uitvalswegen op korte afstand bereikbaar zijn.
In Biervliet vind je basisvoorzieningen zoals een bakker, café/bistro en een bassischool met kinderopvang. Gelegen in het hart van Zeeuws-Vlaanderen zijn Terneuzen en de kust van West-Zeeuws-Vlaanderen met hun gezellige strandpaviljoens binnen 20 minuten te bereiken. Brugge, Gent en Antwerpen liggen op minder dan een uur rijden – perfect voor een culturele of culinaire uitstap. Via de Westerscheldetunnel sta je in 30 minuten in Middelburg! Natuurliefhebbers kunnen hun hart ophalen in natuurgebied De Braakman, ideaal voor lange wandelingen of fietstochten.
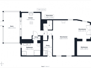
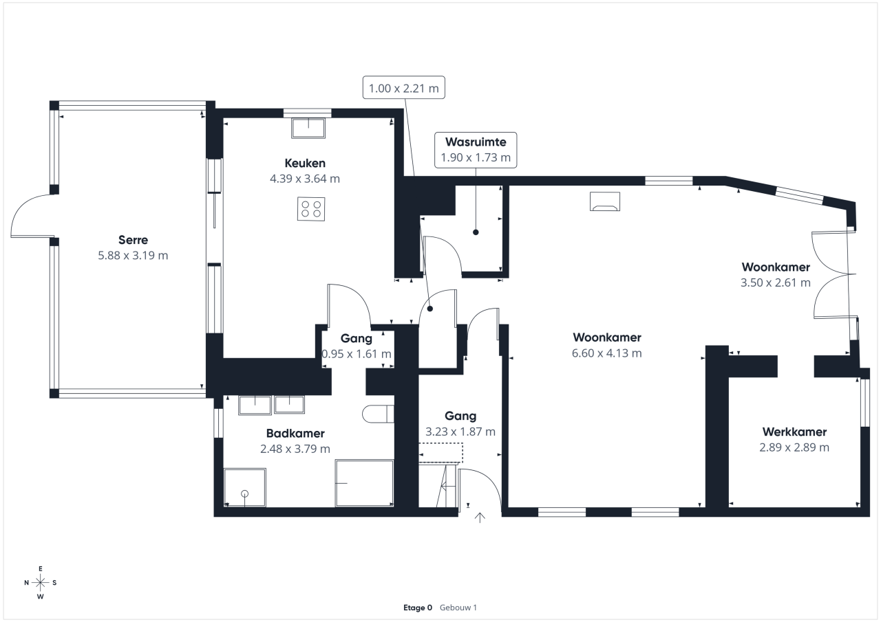
Indeling:
Via de hal met trap en garderobehoek betreed je de woning. De woonkamer is warm en sfeervol, met een fijne houtkachel en dubbele tuindeuren die direct in verbinding staan met de tuin. Aangrenzend bevindt zich een praktische thuiswerkruimte die ook uitstekend te gebruiken is als extra slaapkamer. Verder vind je op de begane grond een wasruimte met aansluitingen voor witgoedapparatuur en de cv-ketel, de meterkast en een portaal naar de complete badkamer, die is ingericht met een ligbad, douchecabine, dubbele wastafel met meubel, toilet en afzuiging.
De woonkeuken vormt het hart van het huis en is geplaatst in een rechte opstelling met een modern kookeiland voorzien van Bora inductiekookplaat met geïntegreerde afzuiging. Daarnaast is er een wandkast met koelkast, oven en combi-magnetron en zijn een vaatwasser en een kokend water kraan aanwezig. Vanuit de keuken geeft de schuifpui toegang tot de ruime serre (18 m2), die het hele jaar door een heerlijke extra leefruimte biedt.
De tuin ligt rondom de woning en is verzorgd aangelegd met een fijne combinatie van terras, gazon en diverse plantenborders. Het zwembad maakt het buitenleven hier extra compleet en nodigt uit tot lange zomerdagen in eigen tuin. Daarnaast is er een moestuin, een aparte kippenruimte, diverse fruitbomen zoals pruim, peer en kers en meerdere bessenstruiken. Vanuit de tuin is de ruime garage/schuur bereikbaar, voorzien van water, elektra en een praktische vliering, waardoor er volop ruimte is voor opslag, hobby’s of werk. Het vrije uitzicht over het polderlandschap maakt het buitengevoel hier werkelijk uniek.
1e Verdieping:
Op de eerste verdieping kom je op de overloop met een toilet en fonteintje. Hier bevinden zich twee comfortabele slaapkamers. De ruime ouderslaapkamer beschikt over een dakkapel en een inloopkast. De tweede slaapkamer heeft een schuifwand naar de berging, wat zorgt voor extra bergruimte zonder in te leveren op leefcomfort.
Bijzonderheden:
- Energielabel D (opgemaakt voor extra isoleren)
- Voorzien van muurisolatie en plafondisolatie
- Warm water en verwarming door middel van C.V.-combiketel uit 2013
- Rondom voorzien van deels kunststof en deels hardhouten kozijnen met dubbelglas en rolluiken
- Voorzien van 22 zonnepanelen
- Nieuwe meterkast
- Philips Hue verlichting
Deze vrijstaande woning biedt een zeldzame combinatie van landelijke rust, ruimte en comfort, met een prachtig uitzicht dat nooit verveelt. Of je nu buiten wilt leven, gelijkvloers wilt wonen, behoefte aan klus-/hobbyruimte hebt of gewoon wilt genieten van vrijheid en privacy: deze woning heeft het allemaal. Een unieke kans voor wie droomt van ruim en vrij wonen in het Zeeuws-Vlaamse polderlandschap. Vooraf al een kijkje nemen? Bekijk dan de 3D tour op REHAM.NL
Kenmerken
- Adres
- Hoofdplaatseweg 4
- Postcode
- 4521 GK
- Type
- Vrijstaande woning
- Bouwjaar
- 1910
- Aantal kamers
- 4
- Aantal slaapkamers
- 3
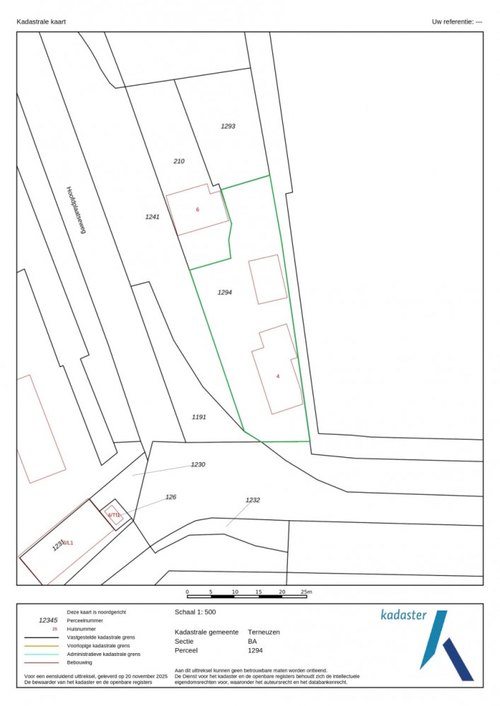
- Perceel oppervlakte
- 812m²
- Oppervlakte woonruimte
- 129m²
- Inhoud
- 415m³
- Tuin
- Ja
- Garage aanwezig
- Ja
- Energielabel
- D
- Verwarming
- cv ketel
- Vraagprijs
- € 450.000,- k.k.


