Liduinapark 16 in Hulst -
€750.000,- k.k.
Bezichtig deze woning virtueel
Omschrijving
Stijlvol wonen met uitzicht op de stadswallen van Hulst
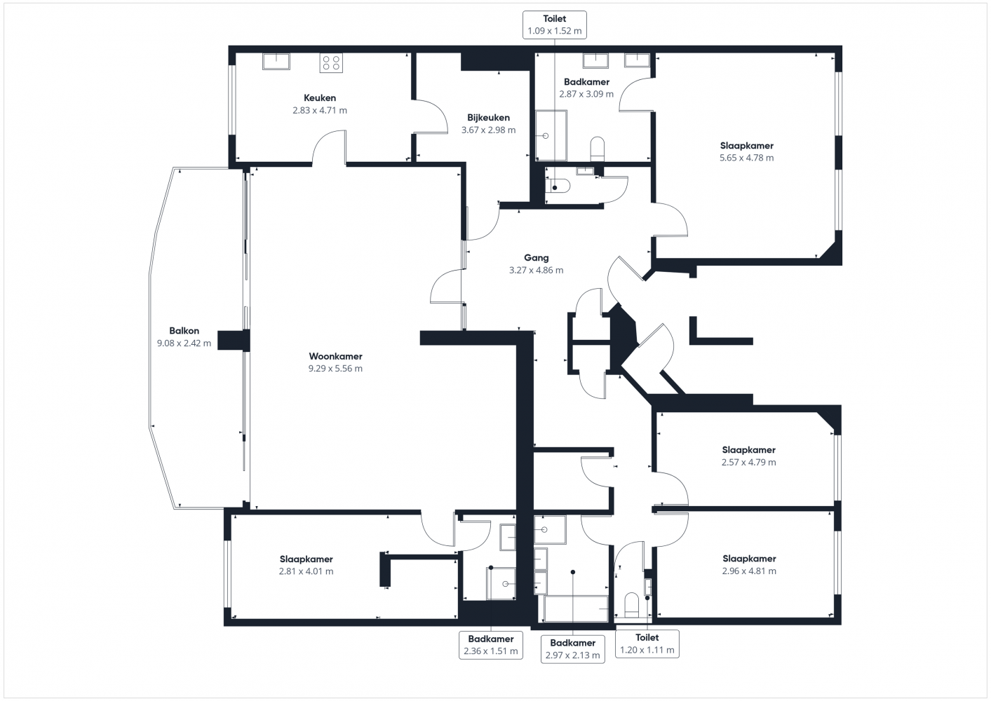
Op zoek naar een royaal en verfijnd appartement waar luxe, comfort en karakter hand in hand gaan? Dit exclusieve beganegrondappartement in het sfeervolle Hulst biedt precies dat. Met vier slaapkamers, drie badkamers en een woonoppervlak dat aanvoelt als een volwaardig huis, is dit een bijzonder woonaanbod voor wie ruimte en kwaliteit weet te waarderen. De woning maakt deel uit van een verzorgd complex uit 1996 en deelt de entree slechts met drie bovenliggende appartementen, wat zorgt voor rust, privacy en een kleinschalige sfeer.
De ligging is minstens zo aantrekkelijk. Vanuit het appartement wandel je zo naar het historische centrum van Hulst, waar gezellige terrassen, winkels en restaurants het dagelijks leven veraangenamen. Alle voorzieningen bevinden zich binnen handbereik, terwijl ook de Belgische grens op korte afstand ligt — ideaal voor wie graag geniet van de Bourgondische levensstijl net over de grens. De ligging combineert het beste van twee werelden: wonen in een rustige omgeving met alle gemakken van de stad dichtbij.
Indeling:
Bij binnenkomst valt direct de royale hal op, met natuurstenen vloer en toegang tot een gastentoilet, meterkast en praktische berging. De ruime L-vormige woonkamer baadt in het licht dankzij de grote raampartijen en schuifdeuren die leiden naar het zonnige balkon op het zuiden. Hier kijk je uit over de eeuwenoude stadswallen en de karakteristieke molen — een uitzicht dat nooit verveelt. De keuken vormt het hart van de woning en biedt volop ruimte om te koken en te genieten. Deze is uitgerust met inbouwapparatuur en grenst aan een handige bijkeuken met aansluitingen voor wasmachine, droger en ruimte voor een vriezer.
Grenzend aan de woonkamer ligt een extra slaapkamer die zich perfect leent als gastenverblijf, werkkamer of zelfstandige suite. De eigen badkamer met douche en wastafelmeubel maakt deze ruimte bijzonder comfortabel en veelzijdig in gebruik. De masterbedroom is royaal opgezet en straalt rust uit. De aangrenzende en-suite badkamer is luxe uitgevoerd met een ruime inloopdouche, dubbel wastafelmeubel, bidet en een tweede toilet. Twee bijkomende slaapkamers, beide ruim en licht, delen een derde badkamer met douche, ligbad en modern wastafelmeubel. Alle ruimtes zijn afgewerkt met hoogwaardige materialen en hebben een verzorgde, harmonieuze uitstraling.
Ook buiten is het heerlijk vertoeven. Het balkon op het zuiden is een verlengstuk van de woonkamer en biedt de perfecte plek om in alle rust van de zon te genieten. Dankzij het weidse uitzicht over de stadswallen en het groen rondom voelt het alsof je midden in de natuur zit, terwijl het stadsleven zich op loopafstand bevindt.
Het appartement beschikt daarnaast over twee eigen parkeerplaatsen in de afgesloten parkeerkelder en twee ruime privébergingen. De volledig gelijkvloerse indeling en de rustige ligging maken dit een ideale woning voor wie comfortabel en levensloopbestendig wil wonen, zonder concessies te doen aan luxe of stijl.
Bijzonderheden:
- Energielabel B
- Voorzien van dak-, muur- en vloerisolatie
- Warm water en verwarming door middel van C.V.-combiketel uit 2019
- Voorzien van dubbelglas
Een woning als deze komt zelden op de markt. Dit royale appartement combineert de charme van Hulst met de luxe van modern wonen — een plek waar elke dag voelt als thuiskomen. Neem vandaag nog contact op voor meer informatie of plan een bezichtiging om zelf de ruimte, het comfort en het prachtige uitzicht te ervaren. Dit is de kans om uw droomwoning te vinden; wacht niet te lang, want dit bijzondere appartement zal snel opvallen.
Kenmerken
- Adres
- Liduinapark 16
- Postcode
- 4561 JW
- Type
- Appartement
- Bouwjaar
- 1996
- Aantal kamers
- 5
- Aantal slaapkamers
- 4
- Oppervlakte woonruimte
- 238m²
- Inhoud
- 700m³
- Tuin
- Nee
- Garage aanwezig
- Ja
- Energielabel
- B
- Verwarming
- cv ketel
- Vraagprijs
- € 750.000,- k.k.


